Fastigheter
Fastigheter
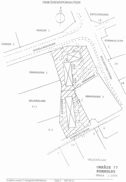
Föreningen äger fastigheterna Hemgården 2 och Hemgården 4 och tillhörande mark. Husen är byggda 1950 och är typiska för folkhemsarkitekturen. För ritningarna stod HSB:s arkitektkontor. Fastigheterna finns på:
- Kummelbyvägen 1 H-K
- Sollentuna vägen 85 A-B
- Nyodlingsvägen 4 T
Lägenheter
Föreningen består totalt av nitton bostadsrättslägenheter. Föreningen hyr även ut ett antal lokaler.
Gemensamma lokaler
- Tvättstuga och torkrum
- Cykelrum
- Barnvagnsrum
- Styrelserum och gemensamhetslokal
Parkering
Totalt finns 15 parkeringsplatser varav 11 är vikta för uthyrning till medlemmar, övriga 4 platser är till för lokalhyresgäster och besökare. Föreningen har en separat kö för uthyrning av parkeringar till medlemmarna. Medlemmar hyr parkeringsplats för 400 kr/mån.
Karta
